Mùa tát đìa bắt cá đồng, đem nướng trui thơm nức ở miền Tây
Mùa tát đìa bắt cá đồng ở miền Tây chia thành hai đợt trước và sau Tết. Các lão nông ở miền Tây cho biết, vùng này vốn là vùng nhiều cá, tôm. Nơi đây được xem “đất rộng người thưa” nên hầu như nhà nào cũng có mương, đìa rộng lớn.
Khi thấy chân ruộng bắt đầu cạn nước, cá rút vào đìa trú ẩn, mọi người lại bắt đầu tát đìa để thu hoạch cá đồng.
Tát đìa bắt cá là hoạt động có từ lâu đời ở miền Tây và trở thành nét văn hóa của người dân nơi đây. Mỗi khi tát đìa, mọi người trong xóm lại phụ giúp, gọi là “bắt cá vần công”. Hừng đông, mọi người đã tranh thủ bắt tay vào tát đìa.


Cá đồng thường chui rất sâu dưới bùn, trốn trong hang.

Người dân vui vẻ với thành quả.

Ngày trước người dân dùng gàu, thùng để tát đìa nên tốn nhiều công sức, thời gian. Còn hiện tại, mỗi lần tát đìa, mọi người dùng máy để bơm nước nên đỡ vất vả và rút ngắn thời gian.
Trong thời gian chờ nước cạn, những thanh niên, đàn ông khỏe mạnh tranh thủ đi dọn cỏ, rau muống, chà (loại cây khô để dưới đìa cho cá trú ẩn) để dễ bắt cá.
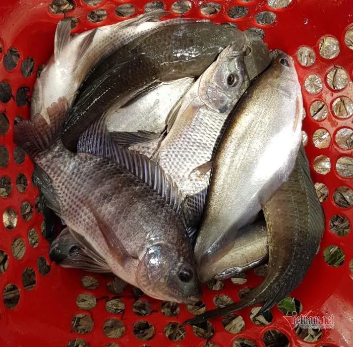
Cá trong đìa rất đa dạng, nhiều nhất là rô phi, cá rô, sặc, cá lóc, trê… Khi nước đìa cạn gần hết, mọi người lại xúm nhau bắt cá. Cá đồng thường chui sâu dưới bùn nên mọi người phải ngâm mình trong bùn, mò trong cỏ, trong hang mới bắt được cá lớn.







Cá đồng trong đìa ở miền Tây rất phong phú, nhiều nhất cá lóc, cá rô, thác lác, chạch.
Tát đìa xong, chủ đìa lấy mớ cá ngon làm nhiều món, đãi bà con hàng xóm để cảm ơn mọi người phụ mình. Người dân miền Tây quan niệm “con cá bán ra tiền xài cũng hết, nhưng có lòng lựa cá ngon đãi khách thì tình nghĩa lâu dài khó phai”.
Trong các món ngon từ cá đồng phải kể đến cá lóc nướng. Cá lóc nướng thịt cá ngọt lịm, thơm nồng phảng phất mùi lửa than, ăn với mớ rau đồng tuy đơn giản nhưng nồng nàn hương vị đồng quê. Tát đìa được nhiều cá, người ta còn làm khô, làm mắm để ăn dần.



Tát đìa xong, chủ đìa thường bắt những con cá lóc ngon nhất đem đi nướng, đãi anh em phụ tát đìa.

Cá lóc nướng trui, đặc sản của người miền Tây.

Chị Phạm Thị Hon (ngụ xã Khánh Bình Đông, huyện Trần Văn Thời, Cà Mau) cho hay, những năm gần đây lượng cá đồng giảm mạnh, nhưng dân vẫn giữ thói quen tát đìa.
“Do cá đồng ngày càng hiếm nên các gia đình rất ít bán cá. Nếu cá nhiều, họ sẽ bán một ít cho các thương lái quen. Phần lớn cá được chia cho anh em, bạn bè. Vui nhất là cảnh anh em cùng nhau bắt cá đồng, sau đó nướng trui hoặc nướng than giữa đồng”, chị Hon chia sẻ.

Tiệm rượu với đầy đủ các lựa chọn về rượu, bia nhiều nhất tại vùng Springvale
Article sourced from XALUAN.
Original source can be found here: http://xaluan.com/modules.php?name=News&file=article&sid=3133475


