Ragasa trở thành siêu bão mạnh nhất thế giới từ đầu năm
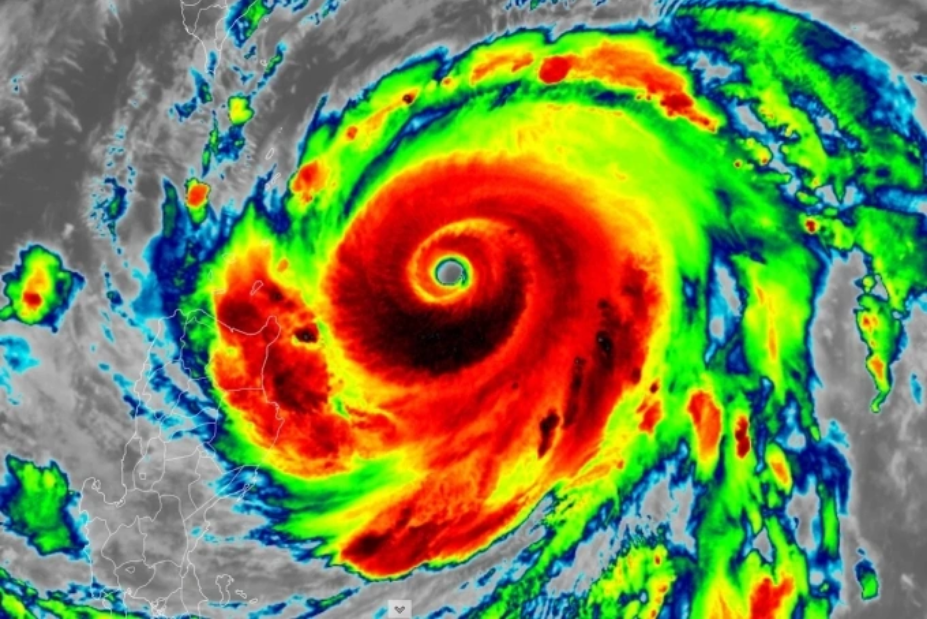
Mạng lưới Thời tiết (TWN), tổ chức phân tích khí tượng tại Canada, cho biết siêu bão Ragasa đạt sức gió 270 km/h và duy trì ở mức này trong thời gian ngắn khi đổ bộ vào quần đảo Babuyan ở phía bắc Philippines hôm 22/9.
Sức gió này khiến nó vượt lên hai siêu bão khác trong năm nay là Erin ở phía bắc Đại Tây Dương vào tháng 8 và Errol ở phía đông Ấn Độ Dương vào giữa tháng 4, trở thành cơn bão mạnh nhất thế giới tính từ đầu năm.
Theo định nghĩa của Trung tâm Bão Quốc gia Mỹ, bão đạt sức gió từ 252 km/h trở lên được phân loại vào Cấp 5 trên thang đo 5 cấp độ bão Saffir-Simpson.
Bão ở cấp độ này có khả năng gây hủy diệt gần như toàn bộ các công trình khi quét qua, quật ngã cây cối, cột điện và khiến khu vực ảnh hưởng rơi vào tình trạng mất điện, nước kéo dài.
Hiện chưa có thống kê đầy đủ về thương vong và thiệt hại do Ragasa gây ra ở Philippines, nhưng dữ liệu sơ bộ cho thấy một người thiệt mạng và một số người bị thương do sạt lở đất ở miền bắc nước này khi bão quét qua.

Bão Ragasa trước khi đổ bộ Philippines ngày 22/9. Ảnh: TWN
Mùa bão năm nay chứng kiến nhiều trận bão đạt ngưỡng nguy hiểm. Ngoài Ragasa, bão Erin và Errol đều đạt sức gió 260 km/h ở thời điểm mạnh nhất.
Hai cơn bão Cấp 4 gồm Vince trên Ấn Độ Dương vào tháng 2 và Neoguri đang hình thành trên Thái Bình Dương đạt sức gió lần lượt là 250 và 235 km/h. Số lượng bão mạnh xuất hiện dồn dập cho thấy mức độ hoạt động bất thường của mùa mưa bão năm nay.
Các nhà khí tượng nhận định sự gia tăng sức mạnh bất thường của Ragasa bắt nguồn từ nhiệt độ mặt biển và độ ẩm khí quyển đều cao. Bão gần như không xuất hiện hiện tượng "đứt gió", tức thay đổi tốc độ hoặc hướng gió trong một khoảng cách ngắn, nên sức mạnh ở lõi bão gia tăng liên tục. Những yếu tố này là điều kiện lý tưởng để bão mạnh lên nhanh chóng, theo TWN.
Trung tâm Cảnh báo Bão Liên hợp (JTWC) của không quân và hải quân Mỹ đánh giá Ragasa đã phần nào suy yếu sau khi quét qua Philippines, song vẫn duy trì sức gió 230 km/h. Bão đang hướng đến khu vực đông nam Trung Quốc, khiến chính quyền các địa phương ở đây báo động về "mối đe dọa nghiêm trọng".

Lở đất tại đảo Luzon do mưa lũ ngày 22/9, ảnh hưởng từ hoàn lưu siêu bão Ragasa. Ảnh: Rappler
Chính phủ Trung Quốc đã ban hành tình trạng khẩn cấp tại nhiều thành phố ở tỉnh Quảng Đông. Hàng loạt trường học, cơ sở sản xuất và hoạt động thương mại bị tạm dừng. Hệ thống giao thông công cộng, tàu phà và đường sắt ngưng hoạt động để phòng tránh thiệt hại.
Thành phố Thâm Quyến thông báo chuẩn bị sơ tán 400.000 cư dân khỏi các vùng ven biển và thấp trũng. Quảng Châu, nơi sinh sống của hơn 18 triệu người, có khả năng phát cảnh báo đỏ, mức cao nhất trong thang báo động bão.
Giới chức Hong Kong cảnh báo Ragasa có thể gây ra thiệt hại tương đương hai siêu bão Hato năm 2017 và Mangkhut năm 2018, vốn từng gây tổn thất hàng trăm triệu USD. Tại Macau, toàn bộ trường học cũng được lệnh đóng cửa trong hai ngày.
Theo dự báo, từ ngày 23 đến 26/9, miền nam Trung Quốc sẽ hứng chịu mưa lớn và gió mạnh, trong đó nhiều khu vực thuộc đồng bằng Châu Giang và ven biển Quảng Đông có thể ghi nhận lượng mưa đặc biệt lớn. Toàn bộ tàu hỏa cao tốc và tàu thường tại Quảng Đông sẽ ngừng chạy trong ngày 24/9, chỉ được khôi phục dần từ sáng 25/9 khi bão suy yếu.
Theo Trung tâm Dự báo Khí tượng Thủy văn quốc gia Việt Nam, đến 4h ngày 25/9, bão trên đất liền nam tỉnh Quảng Châu, sức gió mạnh nhất cấp 12, giật 15, di chuyển theo hướng tây tây bắc với tốc độ 20-25 km/h. Bão sau đó suy yếu nhanh thành áp thấp nhiệt đới, đến 4h ngày 26/9 thì ở trên đất liền Bắc Bộ, sức gió giảm còn cấp 6, giật cấp 8.

Dự báo hướng đi và vùng ảnh hưởng siêu bão, sáng 23/9. Ảnh: Hệ thống giám sát thiên tai

Tiệm rượu với đầy đủ các lựa chọn về rượu, bia nhiều nhất tại vùng Springvale
Article sourced from VNEXPRESS.
Original source can be found here: https://vnexpress.net/ragasa-tro-thanh-sieu-bao-manh-nhat-the-gioi-tu-dau-nam-4942418.html


